Menu View > Volumes > 3D View - PIX4Dmapper
The 3D Volumes view is a simplified version of the rayCloud view to facilitate the volume measurements. The different layers that are displayed in the 3D View (also visible in the rayCloud) are:
- Point Clouds: This layer contains the Densified Point Cloud generated during step 2. Point Cloud and Mesh and the drag-and-dropped external point clouds. It is the background for drawing the volumes.
- Triangle Meshes: This layer groups the 3D Textured Mesh and triangle meshes generated by triangulating a point cloud that is loaded as a triangle mesh.
- Volumes: This layer contains the volumes defined by the user.
- Clipping Box: This tool allows to visualize only the points included in the Clipping Box. This tool is not visible in the Layers section of the sidebar.

The Display Properties selected in the rayCloud are inherited to the Volumes. The Display Properties of the Point Cloud can be selected in the rayCloud or in the Layers section of the sidebar of the Volumes view. For more information about the Display Properties: Menu View > rayCloud > Left sidebar > Layers > Point Clouds .
The Triangle Meshes are not displayed by default. The Display Properties selected in the rayCloud are inherited to the Volumes. The Display Properties of the Triangle Meshes can be selected in the rayCloud or in the Layers section of the sidebar of the Volumes view. For more information about the Display Properties: Menu View > rayCloud > Left sidebar > Layers > Triangle Meshes .
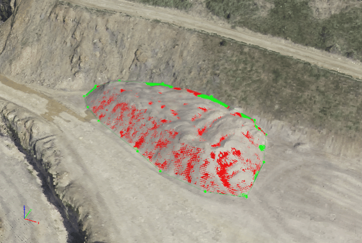
By default, the volumes defined in the Volumes view appear in the 3D View as:
- Green sphere: Volume vertices.
- Green surface: Base surface the volumes.
- Green lines: Lines between vertices/waypoints of the same volume.
- Red Terrain: Triangles between the base surface and the terrain defined by the DSM.
